Trường mầm non Đan Hải là địa điểm mà chính quyền xã Đan Hải, tỉnh
Bếp ăn tại Trường Mầm non Đan Hải được nổi lửa để phục vụ người dân sơ tán tránh bão số 5.
Ông Trần Quỳnh Thao, Chủ tịch UBND xã Đan Hải, cho biết, để sơ tán người dân vùng xung yếu, vùng dễ ảnh hưởng của bão số 5, chính quyền địa phương đã phối hợp với các đơn vị chức năng tiến hành rà soát, vận động từng hộ dân tới nơi an toàn.
Đến nay, xã Đan Hải đã sơ tán hơn 3.000 người ở vùng xung yếu, vùng nguy hiểm trước khi bão số 5 đổ bộ. Trong thời gian tránh trú bão số 5, người dân được cung cấp các nhu yếu phẩm cần thiết như: thức ăn, nước uống...
Sáng 25/8, Phó Thủ tướng Chính phủ Trần Hồng Hà đã đến thăm hỏi, động viên người dân đang sơ tán tại điểm Trường tiểu học Đan Hải. Tại đây, Phó Thủ tướng động viên bà con yên tâm sơ tán khi bão đổ bộ; toàn bộ nhu yếu phẩm, công tác đảm bảo an ninh trật tự, an toàn đã được lực lượng chức năng đảm bảo.

Người dân sẽ được cung cấp thức ăn, nước uống,... cho đến khi bão tan.

Hành động ý nghĩa này sẽ giúp người dân an tâm tránh bão.
Tại phường Sông Trí, tỉnh Hà Tĩnh, địa điểm tập trung an toàn ở trụ sở UBND xã Kỳ Lợi (cũ) và Trạm y tế xã Kỳ Lợi (cũ). Tại đây chủ yếu là các hộ gia đình có trẻ em và người lớn tuổi.
Vì vậy, vào sáng 25/8, MTTQ Việt Nam phường Sông Trí đã chuẩn bị những suất ăn rồi đội mưa gió đưa đến cho người dân nơi đây, để mọi người an tâm tránh bão.
Ông Nguyễn Hoài Sơn, Bí thư Đảng ủy phường, nhấn mạnh: "Cấp ủy, chính quyền và toàn hệ thống chính trị phường đã đặt nhiệm vụ bảo vệ tính mạng, tài sản của nhân dân lên hàng đầu; tuyệt đối không được chủ quan, lơ là, bám sát địa bàn, kịp thời hỗ trợ người dân, quyết tâm hạn chế thấp nhất thiệt hại do bão gây ra".

Phụ nữ, trẻ em và các cụ già được sơ tán tại địa điểm an toàn tại trụ sở UBND xã Kỳ Lợi (cũ).
Theo báo cáo của Ban Chỉ huy Phòng thủ dân sự tỉnh, các xã ven biển có nguy cơ ảnh hưởng cao khi bão số 5 đổ bộ đã tiến hành sơ tán gần 5.000 hộ với gần 13.000 người dân tới nơi an toàn.
Hiện nay, các địa phương vẫn tiếp tục rà soát để chỉ đạo, tập trung lực lượng hỗ trợ sơ tán dân các khu vực nguy hiểm đến nơi tránh trú an toàn. Trường hợp ở trong vùng có nguy cơ cao mất an toàn khi bão số 5 đổ bộ nhưng người dân không chịu sơ tán, chính quyền địa phương sẽ tổ chức cưỡng chế, đưa người dân tới nơi tránh trú.
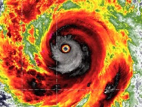
Bão số 5 với cường độ mạnh đang di chuyển vào đất liền. Hà Tĩnh nằm trong vùng ảnh hưởng trực tiếp khi bão đổ bộ. Vùng biển Hà Tĩnh có gió mạnh dần lên cấp 7 - 9, sau tăng lên cấp 10 - 12, vùng gần tâm bão đi qua cấp 13 - 14, giật cấp 17; sóng biển cao 5 - 7m, vùng gần tâm 8 - 10m, biển động dữ dội.
Từ gần sáng ngày 25/8, trên đất liền có gió mạnh dần lên cấp 8 - 11, giật cấp 12 - 14. Riêng khu vực Bắc Hà Tĩnh có gió mạnh cấp 12 - 14, giật cấp 15 - 16.
Do ảnh hưởng của bão số 5 nên từ đêm 24/8 đến hết ngày 26/8, khu vực tỉnh Hà Tĩnh có mưa to đến rất to và dông. Tổng lượng mưa các khu vực phổ biến 200 - 400mm, có nơi trên 600mm (mưa lớn tập trung từ gần sáng ngày 25/8 đến tối ngày 25/8). Cảnh báo nguy cơ mưa có cường suất lớn (>200 mm/3h).